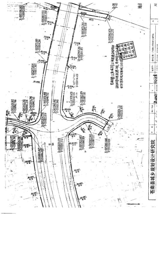
附件一:龙港大桥(鳌江一桥)改建工程项目规划红线图
附件二:
龙港大桥(鳌江一桥)改建工程项目
房屋征收与补偿实施方案
第一条 为了保证龙港大桥(鳌江一桥)改建工程项目顺利进行,维护相关当事人的合法权益,根据《国有土地上房屋征收与补偿条例》、《苍南县国有土地上房屋征收与补偿暂行办法》以及省、市、县有关规定,结合本工程实际,制定本方案。
第二条 征收范围:南起鳌江一桥项目起点,北至鳌江龙港侧沿线红线范围内的房屋、建筑物以及附属物(具体以规划红线图确定的范围为准)。
第三条 征收时间:征收决定公告之日起。签订协议时间:征收决定公告之日起60天内
第四条 苍南县鳌江流域跨江桥梁建设指挥部(以下称具体实施部门)受房屋征收部门委托,组织实施该区域内房屋征收与补偿的具体工作。
第五条 在征收规划红线范围内如属集体土地的,在征收决定公告前,依法予以土地征收。属国有土地的,在县人民政府作出征收决定的同时,依法予以收回国有土地使用权。
第六条 房屋征收范围确定公布后,征收范围内的单位和个人不得进行下列活动:
(一)新建、扩建、改建、装修房屋;
(二)改变房屋和土地用途;
(三)设立和变更房屋租赁关系;
(四)房屋和土地权属分割、设定他项权利;
(五)户口迁入和分户;
(六)法律规定的其他事项。
违反以上规定造成不当增加补偿费用的行为,一律不予补偿。
第七条 房屋征收范围确定后,征收实施单位应当对征收范围内房屋的权属、坐落、用途、土地性质、建成年份、建筑面积等情况进行调查登记,被征收人应当予以配合,调查结果应当在房屋征收范围内向被征收人公布。被征收人应提供被征收房屋权源的有效证件。被征收房屋的用途以房屋所有权证登记的用途为准。房屋所有权证未明确用途或没有房屋所有权证的,以规划、国土部门提供的合法有效文件为依据。被征收房屋的面积,按照被征收房屋的房屋所有权证或者其他合法房产凭证记载的面积为准。没有房产凭证的被征收房屋由县房屋征收产权调查小组就其权属来源、建成年份等有关情况进行合法性认定,认定后的合法房屋其面积以具有相应资质的房产测绘机构出具的测绘报告为准。
第八条 对被征收人补偿包括:
(一)被征收房屋价值的补偿;
(二)因征收房屋造成的搬迁、临时安置的补偿;
(三)因征收房屋造成的停产停业损失的补偿。
前款第(一)项规定的被征收房屋价值的补偿包括被征收房屋(含其附属物)及其占用范围内土地使用权的补偿、房屋室内装饰装修价值的补偿。第(三)项规定的停产停业损失的补偿是指对征收经营性非住宅造成停产停业的直接损失予以补偿。
房屋占用范围内土地使用权的面积以土地使用权证登记的面积为准,没有土地使用权证的,以房屋建筑占地面积为准。
原属集体土地上的房屋征收,房屋建筑占地面积以外的使用面积,不计算在征收补偿价值之内。
第九条 被征收房屋的价值和产权调换房屋的价值,由具有相应资质的房地产价格评估机构按照《国有土地上房屋征收评估办法》等有关规定评估确定。
被征收人对评估结果有异议的,应当自收到评估报告之日起10日内,向作出评估报告的原房屋评估机构申请复核评估。
被征收人对复核结果有异议的,应当在收到复核结果之日起10日内,向房地产价格评估专家委员会申请鉴定。
第十条 房地产价格评估机构应当在房屋征收实施单位告知后10日内由被征收人协商选定;协商不成的,由房屋征收部门从具备相应法定资格的房地产价格评估机构中随机确定。
参加随机确定的房地产价格评估机构不得少于3家。房屋征收部门应当提前3日在征收范围内公告房地产价格评估机构随机确定的时间和地点。随机确定时可邀请被征收人代表、被征收房屋所在地乡镇政府(街道办事处)以及社区、村委会代表等参加或者由公证机构现场公证。
第十一条 被征收房屋评估时点为房屋征收决定公告之日。
第十二条 符合下列条件的被征收房屋予以补偿安置:
(一)拥有房屋所有权证或经确认的其他合法房产凭证的房屋;
(二)1982年2月13日国务院颁布的《村镇建房用地管理条例》实施前所建、延续使用至今的居住房屋;
(三)1982年2月13日《村镇建房用地管理条例》实施后至1992年国土资源部航空拍摄前所建、建筑占地面积25平方米以上(含25平方米),延续使用至今的居住房屋;
(四)1992年国土资源部航空拍摄之后至1999年1月1日新《中华人民共和国土地管理法》实施之前所建、建筑占地面积25平方米以上(含25平方米)、持有当时乡(镇)人民政府越权批准的建房文件,延续使用至今的居住房屋。
(五)1992年国土资源部航空拍摄之后至1999年1月1日新《中华人民共和国土地管理法》实施之前所建、建筑占地面积25平方米以上(含25平方米)、持有乡镇人民政府、国土、规划部门在这一时期内正式罚款凭证,尚未办理补办手续,延续使用至今的居住房屋,其补偿标准按被征收房屋价值的70%计算。
(六)1992年国土资源部航空拍摄之前存在的居住房屋,建筑占地面积25平方米以上(含25平方米),在1999年1月1日新《中华人民共和国土地管理法》实施之前,被征收人因故自行拆除,两年内在原址上重建,建筑占地面积25平方米以上(含25平方米),延续使用至今的居住房屋,按原重建前的房屋状况予以补偿安置。
第十三条 征收补偿的方式可以实行货币补偿,也可以实行产权调换,被征收人有权选择补偿方式。但下列情形除外:
(一)征收合法房屋建筑占地面积之外的其他土地使用面积,不作产权调换;
(二)征收1992年国土资源部航空拍摄前所建的非公益事业房屋的非居住的附属用房、构筑物,不作产权调换,建筑物按重置评估价结合成新率的2倍予以货币补偿;
(三)1982年2月13日,国务院《村镇建房用地管理条例》实施后,没有合法产权凭证而由县房屋征收产权调查小组认定的合法居住房屋,建筑占地面积在15平方米以上(含15平方米)、25平方米以下(不含25平方米),不作产权调换,其补偿标准按被征收房屋价值的50%予以货币补偿;建筑占地面积15平方米以下(不含15平方米),不作产权调换,建筑物按重置评估价结合成新率的2倍予以货币补偿;
(四)征收未超过批准期限的临时建筑,根据建筑物重置价、已使用年限等因素经评估后予以适当货币补偿,不作产权调换;
(五)征收历史遗留的直管或单位自管公有住宅房屋、具有租赁关系的被征收房屋,被征收人与房屋承租人对解除租赁关系达不成协议的,房屋征收实施单位应当对被征收人房屋实行产权调换;
(六)被征收房屋的所有权人死亡,继承人之间就征收补偿安置形式达不成一致或者继承人未明确的,房屋征收实施单位可以对其实行产权调换。
第十四条 征收企、事业等单位非住宅用房,按被征收房屋批准的规划功能和土地性质经评估后,给予货币补偿。如需要迁建的,按原用地面积、土地使用功能进行置换,并按市场评估价结算差价。
第十五条 违法违章的建筑物和超过批准期限的临时建筑物,必须在房屋征收决定公告之日起30天内拆除,不予补偿。
第十六条 在被征收房屋范围内,违法违章建筑物所有人,在自行拆除违法违章建筑物后,符合我县相关住房保障规定的,县人民政府给予优先住房保障;符合无房户或住房困难户条件的,按照县政府关于无房户或住房困难户的有关政策执行。
第十七条 征收个人住宅的被征收人、房产管理部门直管住宅公房或者单位自管住宅公房的承租人,符合我县相关住房保障规定的,县人民政府给予优先住房保障。
第十八条 征收个人住宅房屋产权为共有性质的,被征收人选择产权调换的,不得按共有人分户安置。
第十九条 被征收人选择货币补偿,并按时签订协议、搬迁腾空的,可根据被征收房屋价值的20%增加补偿金。
第二十条 被征收人选择货币补偿,在苍南县范围内购置居住房屋,经房屋征收部门核实,并提供补偿协议,税务部门应当在被征收房屋所补偿的金额内给予免交契税。其他有关税收优惠政策,按照税务部门有关规定执行。
