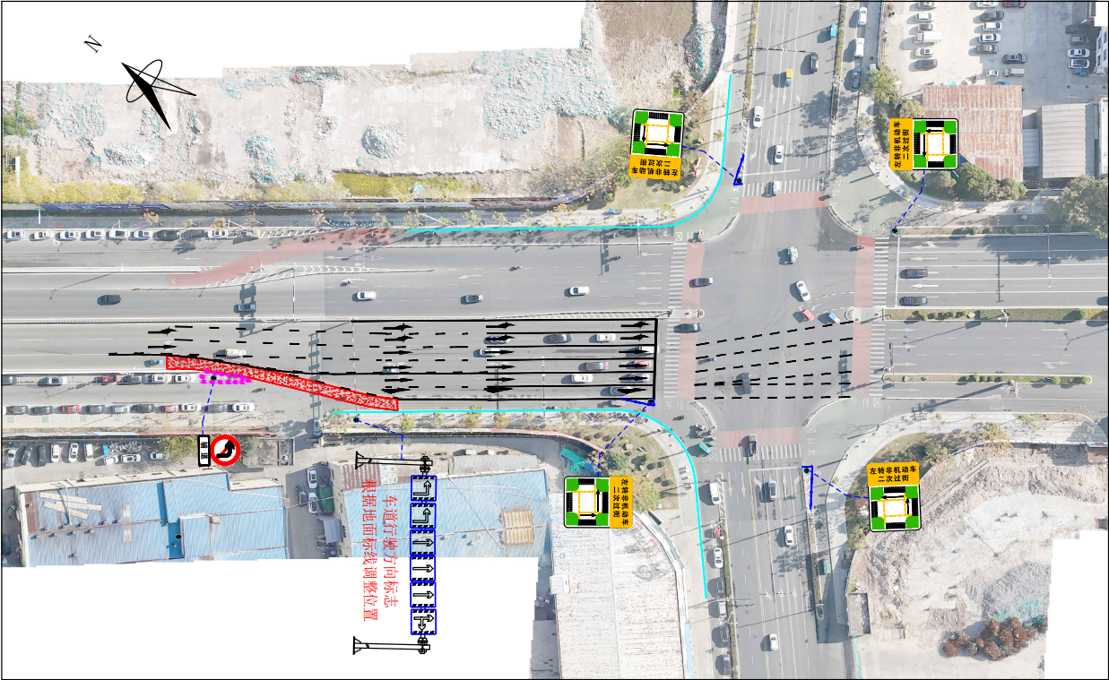
关于优化调整龙港市彩虹大道与东城路路口交通组织的通告
为提高龙港市彩虹大道与东城路路口的通行效率,有效缓解交通拥堵,保障道路交通安全,根据《中华人民共和国道路交通安全法》有关规定,龙港公安交通管理部门决定对彩虹大道与东城路路口的交通组织进行优化调整。具体事项通告如下:
1.路口北侧进口道(鳌江四桥入城口),左转车道改置至道路内侧;
2.鳌江四桥西侧辅道,车辆禁止左转;
3.非机动车左转时二次过街行驶。
本次通告自2026年1月18日0时起正式实施,请广大市民、驾驶人按照交通信号和标志标线指示行驶,违者将依法抓拍查处。
特此通告。
龙港市公安局交通管理大队
2026年1月16日
附图:
